조황관리HOME / 조황관리 / 상세정보

제목 : 11/23 <스텔스호> 참돔 75센티 포함 씨알급 굿조황~ 수요일 정상출항~ 자리 많습니다
등록일 : 2025-11-24
KakaoTalk_Image_2025-11-24-16-53-55_002.jpeg

KakaoTalk_Image_2025-11-24-16-53-55_002.jpeg

KakaoTalk_Image_2025-11-24-16-53-55_003.jpeg

KakaoTalk_Image_2025-11-24-16-53-55_004.jpeg

KakaoTalk_Image_2025-11-24-16-53-55_002.jpeg

KakaoTalk_Image_2025-11-24-16-53-54_001.jpeg

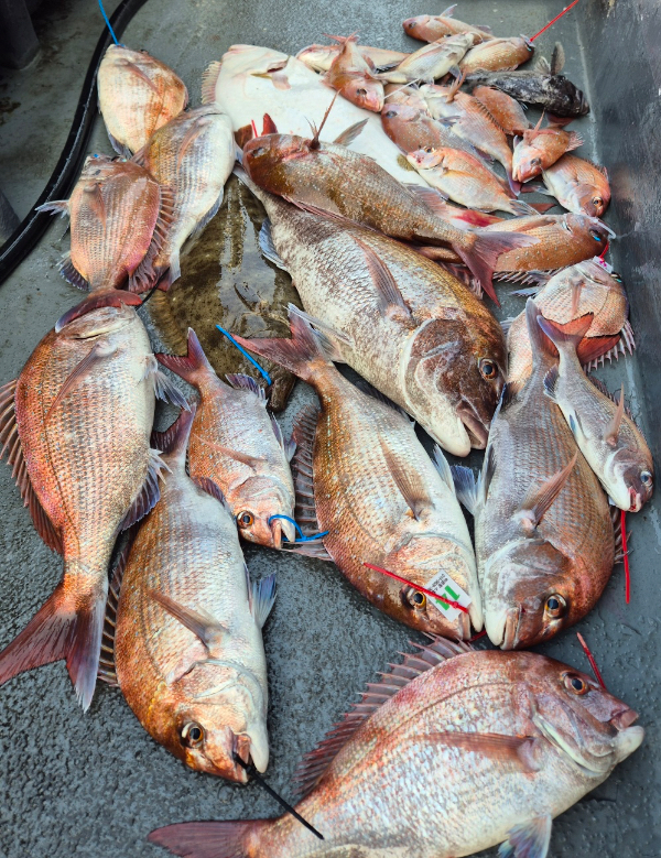
==========  11월 23일 참돔 75센티외 씨알급 굿 조황~  ==========



75센티 덩어리 참돔과 8짜 대광어가 올라왔습니다.

외 씨알급 싸이즈의 참돔들도 마릿수 조황을 보여주었습니다.


탑승하신 조사님들 모두 수고 많으셨습니다.

26일 수요일 참돔 졸업식 예정입니다. 시간여유 있으신분들 연락주세요


+++ 수요일 참돔 졸업식 출항 ~ 자리여유 많습니다 +++
 
** 11월 참돔 / 갑오징어 교차 출조합니다.

** 조금물때 : 갑오징어 , 사리물때 : 참돔 타이라바


**오랜기간 축적된 경험과 데이타 ~ 스텔스호에서 즐겨보세요**

낚시마을 바로가기.jpg
○ 낚시마을 직통전화 010 - 9224 - 3878    ○ 스텔스호 직통전화 010 - 5629-3878
스텔스 바로가기.jpg


 



========== 스텔스호 예약안내 ===========


조용하고 빠른 포인트 진입! 군산 스텔스호 입니다.

■ 선장님(유주봉) 휴대전화 : 010-5629-3878
■ 실시간 홈페이지 예약 : http://stealth.sunsang24.com
■ 오시는길 : 전라북도 군산시 새만금북로 297 (군산낚시마을)
■ 군산낚시마을 : 063) 461-3873, 010-9224-3878
■ 계좌안내 : 신한은행 / 802-12-076957 / 유성은

******************* 선상낚시 출조안내 *************************

●참돔루어 : 선비 11만원 (중식제공)

●참돔피딩출조 : 선비 8만원 (4시 출항~ 13시입항), 중식X(간식제공)

●광어다운샷 : 선비 11만원 (중식제공)

●농어,광어,민어생미끼 : 선비 13만원 (생미끼 + 중식제공)

●갑오징어 : 선비 11만원 (중식제공)

●문어 : 선비 11만원 (중식제공)

●주꾸미: 선비 10만원(휴일) , 9만(평일)- 중식제공

풍성한 조과와 추억을 낚을수 있도록 항상 친철하고 최선을 다하겠습니다.
감사합니다.
Top